„Wohnquartier Tetendorfer Straße“
Die Stadt Soltau hat in Tetendorf ein neues Wohngebiet entwickelt – das „Wohnquartier Tetendorfer Straße“. Mit dem Satzungsbeschluss des Bebauungsplan Tetendorf Nr. 3 vom 30. Oktober 2025 ist nun der Weg frei für die Erschließung und Vermarktung der Grundstücke durch die AWS.
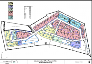
Im ersten Bauabschnitt entstehen 40 Grundstücke für Einzel- und Doppelhäuser, 7 Grundstücke für Geschosswohnungsbau, 2 Grundstücke für Hausgruppen sowie 12 Kleinstgrundstücke. Außerdem ist ein Grundstück für den Bau einer Kindertagesstätte vorgesehen.
Die Wärmeversorgung des Quartiers wird durch die Stadtwerke Soltau GmbH & Co. KG voraussichtlich über ein „Kaltes Nahwärmenetz“ erfolgen. Kalte Nahwärme nutzt die natürliche Energie aus dem Erdreich, um die Gebäude nachhaltig zu beheizen und zu kühlen. Als Wärmequellen dienen Erdwärmesonden, die über ein unterirdisches Rohrleitungssystem miteinander verbunden sind. Das zirkulierende Wärmeträgermedium (Sole) nimmt die Erdwärme, die über das Jahr eine konstante Temperatur von ca. 10 °C hat, auf und versorgt über das Verteilnetz die angebundenen Gebäude. Die effiziente Sole-Wasser-Wärmepumpe im eigenen Haus hebt das Temperaturniveau an und stellt nutzbare und klimaneutrale Heizungs- und Trinkwasserwärme bereit. Weitere Informationen folgen in Kürze.
Die Vermarktung der Grundstücke erfolgt parallel zu den laufenden Erschließungsarbeiten. Voraussichtlich stehen ab Herbst 2026 die ersten baureifen Grundstücke zur Verfügung. Die Bewerbungsfrist endet am 3. Januar 2026.
Wenn Sie Interesse an einem Grundstück im „Wohnquartier Tetendorfer Straße“ haben, können Sie sich ab sofort ausschließlich über das untenstehende Kontaktformular online bewerben.
Südlich von Soltau gelegen
- Entfernung bis zur Stadtmitte ca. 1,8 km
- insgesamt ca. 63 Grundstücke
- keine Bauträgerbindung
Bebauungsplanfestsetzungen:
- Allgemeines Wohngebiet (WA)
- Einzel- und Doppelhausbebauung, Hausgruppen, Kleinstgrundstücke, Geschosswohnungsbau
- Grundflächenzahl 0,25 bis 0,40
- Kalte Nahwärme

Das Baugebiet liegt im Bebauungsplan Tetendorf Nr. 3
„Wohnquartier Tetendorfer Straße “
Richtlinie für die Vergabe der Wohnbaugrundstücke
(Einzel- und Doppelhausbebauung)
Baugrundstücke der AWS „Wohnquartier Tetendorfer Straße“
Hinweis
Bei Interesse an einem Baugrundstück im Baugebiet „Wohnquartier Tetendorfer Straße“ senden Sie uns ausschließlich das ausgefüllte Online-Formular zu.
Nach erfolgreicher Übertragung des Kontaktformulars erhalten Sie eine Bestätigung per E-Mail.
| WA 4 A + B Einzel- und Doppelhäuser, II Vollgeschosse Nr. | Groesse / m² | € / m² | Gesamtpreis / € |
|---|---|---|---|
| 20 | ca. 646 | 165,00 | ca. 106.590,00 |
| 21 | ca. 619 | 165,00 | ca. 102.135,00 |
| 22 | ca. 560 | 165,00 | ca. 92.400,00 |
| 23 | ca. 578 | 165,00 | ca. 95.370,00 |
| 24 | ca. 784 | 165,00 | ca. 129.360,00 |
| 25 | ca. 618 | 165,00 | ca. 101.970,00 |
| 26 | ca. 671 | 195,00 | ca. 130.845,00 |
| 27 | ca. 752 | 195,00 | ca. 146.640,00 |
| 28 | ca. 734 | 195,00 | ca. 143.130,00 |
| 29 | ca. 689 | 195,00 | ca. 134.355,00 |
| 30 | ca. 706 | 195,00 | ca. 137.670,00 |
| 31 | ca. 694 | 195,00 | ca. 135.330,00 |
| 32 | ca. 693 | 195,00 | ca. 135.135,00 |
| 33 | ca. 672 | 195,00 | ca. 131.040,00 |
| 34 | ca. 742 | 170,00 | ca. 126.140,00 |
| 35 | ca. 625 | 170,00 | ca. 106.250,00 |
| 36 | ca. 520 | 170,00 | ca. 88.400,00 |
| 37 | ca. 569 | 189,00 | ca. 107.541,00 |
| 38 | ca. 569 | 189,00 | ca. 107.541,00 |
| 39 | ca. 618 | 189,00 | ca. 116.802,00 |
| 40 | ca. 598 | 189,00 | ca. 113.022,00 |
| 41 | ca. 633 | 189,00 | ca. 119.637,00 |
| 42 | ca. 600 | 189,00 | ca. 113.400,00 |
| 43 | ca. 671 | 189,00 | ca. 126.819,00 |
| 44 | ca. 633 | 189,00 | ca. 119.637,00 |
| 45 | ca. 679 | 189,00 | ca. 128.331,00 |
| 46 | ca. 604 | 189,00 | ca. 114.156,00 |
| 47 | ca. 741 | 189,00 | ca. 140.049,00 |
| 48 | ca. 697 | 189,00 | ca. 131.733,00 |
| 49 | ca. 659 | 189,00 | ca. 124.551,00 |
| 50 | ca. 651 | 189,00 | ca. 123.039,00 |
| 51 | ca. 637 | 189,00 | ca. 120.393,00 |
| 52 | ca. 623 | 189,00 | ca. 117.747,00 |
| 53 | ca. 609 | 189,00 | ca. 115.101,00 |
| 54 | ca. 583 | 189,00 | ca. 110.187,00 |
| 55 | ca. 690 | 189,00 | ca. 130.410,00 |
| 56 | ca. 723 | 195,00 | ca. 140.985,00 |
| 57 | ca. 673 | 195,00 | ca. 131.235,00 |
| 58 | ca. 640 | 195,00 | ca. 124.800,00 |
| WA 1 a + b Geschosswohnungsbau III Vollgeschosse Nr. | m² | € / m² | Gesamtpreis / € |
|---|---|---|---|
| 1 | ca. 2.269 | 185,00 | ca. 419.765,00 |
| 2 | ca. 1.958 | 185,00 | ca. 362.230,00 |
| 3 | ca. 1.371 | 200,00 | ca. 274.200,00 |
| 4 | ca. 1.263 | 200,00 | ca. 252.600,00 |
| 5 | ca. 1.824 | 210,00 | ca. 383.040,00 |
| 6 | ca. 1.443 | 210,00 | ca. 303.030,00 |
| WA 2 a + b Einzelhäuser II Vollgeschosse Nr. | m² | € / m² | Gesamtpreis / € |
|---|---|---|---|
| 9 | ca. 689 | 165,00 | ca. 113.685,00 |
| 11 | ca. 2.858 | 200,00 | ca. 571.600,00 |
| WA 3 a + b Hausgruppen II Vollgeschosse Nr. | m² | € / m² | Gesamtpreis / € |
|---|---|---|---|
| 12 | ca. 1.704 | 185,00 | ca. 315.240,00 |
| 13 | ca. 1.836 | 195,00 | ca. 358.020,00 |
| WA 5 Kleinstgrundstücke I Vollgeschoss Nr. | m² | € / m² | Gesamtpreis / € |
|---|---|---|---|
| 59 | ca. 374 | 175,00 | ca. 65.450,00 |
| 60 | ca. 368 | 175,00 | ca. 64.400,00 |
| 61 | ca. 361 | 175,00 | ca. 63.175,00 |
| 62 | ca. 390 | 175,00 | ca. 68.250,00 |
| 63 | ca. 366 | 175,00 | ca. 64.050,00 |
| 64 | ca. 362 | 175,00 | ca. 63.350,00 |
| 65 | ca. 366 | 175,00 | ca. 64.050,00 |
| 66 | ca. 363 | 175,00 | ca. 63.525,00 |
| 67 | ca. 361 | 175,00 | ca. 63.175,00 |
| 68 | ca. 358 | 175,00 | ca. 62.650,00 |
| 69 | ca. 360 | 175,00 | ca. 63.000,00 |
| 70 | ca. 362 | 175,00 | ca. 63.350,00 |
Die Gesamtsumme beinhaltet:
- den Bodenpreis
- die Vermessungskosten für das unbebaute Grundstück
- die Ersterschließungskosten
Ansprechpartner/in:
Infos zur Grundstücksvergabe
Wenn Sie sich für ein Baugrundstück in Baugebiet „Wohnquartier Tetendorfer Straße“ interessieren, dann senden Sie uns Ihre ausgefüllte “Onlineanfrage“ zu.
Die Aufnahme Ihrer Interesse ist nur über das Onlineformular möglich.
